From concept to feasibility in aerial mapping

Author: Penny Boviatsou

Starting in 2005, the French Naval Hydrographic and Oceanographic Office (Service Hydrographique et Océanographique de la Marine [SHOM]) and the French National Geographic Institute (Institut Géographique National [IGN]) began conducting, as part of the national project Litto3D®, a series of coastal surveys of the metropolitan France and some overseas territories.

The coastal areas were at that time poorly described; airborne bathymetric LiDAR data were used to create a continuous altimetry dataset of the coastal zone. The purpose of this project was to produce better risk management prevention plans for floods, landslides and earthquakes, and to support economic development strategies, environmental protection policies and scientific studies that require the knowledge of the near shore topography and bathymetry.

From 2007 to 2015, SHOM built a strong expertise in the Airborne LiDAR Bathymetry (ALB) technical field by subcontracting data acquisition to survey companies. In February 2016, the French Ministry of Environment officially decided to finalise the maritime part of the Litto3D® program; up to half of the cost of a regional ALB survey could be directly funded.

This decision opened a new perspective; instead of subcontracting survey companies SHOM could run and operate its own ALB capacity with the guarantee to be financially supported. It was decided to launch a call for proposals on a three-year ALB full service. The selected company would have to provide not only the bathymetric LiDAR system but also the aircraft and its pilots, the training of the laser operators, take care of the maintenances/calibrations, and deal with the administrative support (flight permits, insurance policy, etc.).

Leica Geosystems and CAE Aviation won this public tender.


Planning the mapping mission

CONTENT_IMAGE_From_Concept_To_Feasibility_In_Aerial_02

Leica Geosystems and CAE Aviation mobilised their efforts to offer a comprehensive theoretical and practical training to SHOM’s team on the use of LiDAR and the associated software with this technology.

The first survey conducted in Normandy and North France used the Leica HawkEye III, an airborne multi-sensor deep water bathymetric and topographic LiDAR system, mounted on a Cessna Grand Caravan.

During the data acquisition in Cherbourg, the HawkEye III captured full waveform in a favourable survey environment; the wind conditions were relatively calm with flat seas and without fog in the survey area. In addition, the Leica MissionPro software with the 3D virtual globe view helped in the preparation and planning for the flights, and the Leica FlightPro flight management and sensor control system assisted in the collection of the data.

The results of this first topo-bathymetric survey exceeded SHOM’s expectations. The achieved work on morpho-sedimentary cells was impressive. “Leica Geosystems LiDAR technology worked perfectly; no failures occurred during our first mission,” said Yves Pastol, SHOM’s expert on ALB. “Having in our team a Leica Geosystems technician the first weeks of the mission was very instructive. This way SHOM’s crew was able to learn and survey at the same time.”


The challenge

CONTENT_IMAGE_From_Concept_To_Feasibility_In_Aerial_03

Given these positive findings from the Normandy and North France survey, SHOM decided to plan a major operation along the Channel coastline: a coastal survey from Baie du Mont-Saint-Michel (western Normandy) to the Belgian border. This second topo-bathymetric survey will enable SHOM to generate a complete geographical product by mid-2018. The expected coverage goes down to 5 metres isobaths and up to 400 m inland.

This second survey is a real challenge for SHOM; Mont-Saint-Michel is known for the highest tides in Europe. If the flights are correctly timed during low tides, the SHOM team can take advantage of them. The inclement weather might be another obstacle to overcome as well as the turbid coastal waters of the English Channel. The HawkEye III is deployed once again to provide high resolution and accurate deep bathy, shallow bathy and topography data. An important goal in this kind of survey is to have a smooth transition between topographic and bathymetric data.

“The HawkEye III can achieve earth-sea continuity with its various sensors,” said Pastol. “This technology ensures us there will be no gaps in the Digital Terrain Model (DTM), which is essential for our end product.” On the software side, Leica Geosystems also provides the Leica LiDAR Survey Studio (Leica LSS) to pre-process the waveform and position data to create classified point clouds. The SHOM team can review the deep bathymetry, the shallow and the topographic LiDAR data at the same time, including reviewing the images taken at the same location as the point cloud data.

“From a cost effective approach, comparing with shipborne surveys in the past, topo and bathy survey had to take place separately and we had to launch a complex merging data process. With Leica Geosystems technology this is not necessary anymore,” said Pastol.


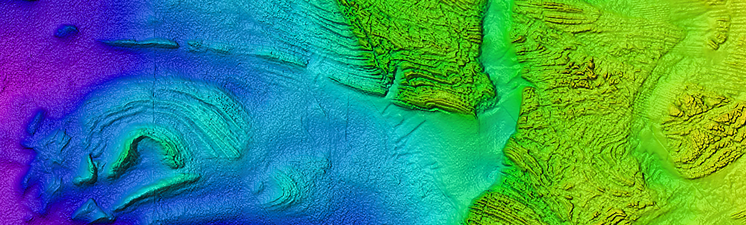
An innovative solution

CONTENT_IMAGE_From_Concept_To_Feasibility_In_Aerial_04

The LiDAR technology has been widely used in monitoring various natural hazards. Due to the high accuracy of the captured data, the technology is also used in the field of oceanic sciences, including a DTM and bathymetric mapping. The HawkEye III is a simple-to-use sensor optimised for the most demanding survey requirements.

“SHOM has the responsibility to conduct surveys in difficult areas and our partnership with Leica Geosystems gives us peace of mind by dealing with all the other aspects of the project, such as system installation, calibration, technical and aeronautical maintenance, among other tasks,” said Yves-Marie Tanguy, SHOM Litto3D project manager. “SHOM’s needs are vast and complex, but we can testify that Leica Geosystems answers with great professionalism to all our requests.”

HxGN LIVE 2017

Meet our GNSS experts at HxGN LIVE 2017.
Meet our GNSS experts at HxGN LIVE 2017.

Around the world

Share with us how you are solving complex daily challenges using Leica Geosystems equipment.
Share with us how you are solving complex daily challenges using Leica Geosystems equipment.

Contactez Leica Geosystems

Trouvez un interlocuteur Leica Geosystems pour la vente, l’assistance et les services techniques.
Trouvez un interlocuteur Leica Geosystems pour la vente, l’assistance et les services techniques.

Reporter subscription

Receive the latest updates about Reporter magazine.
Receive the latest updates about Reporter magazine.

Reporter 79

Download a PDF version of Reporter 79
Download a PDF version of Reporter 79