Aloha Airborne

Case Study

Author: Monica Miller Rodgers

Lush tropical vegetation. Refreshing rain showers. Iconic mountainous landscapes.

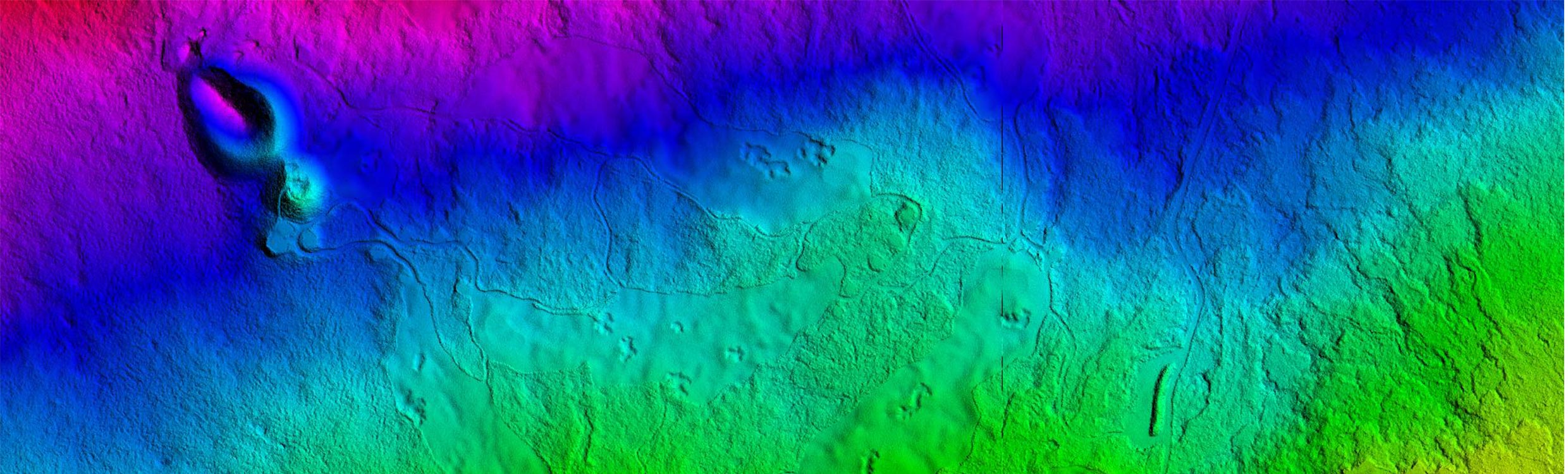
The exact features that make Hawaii such an ideal holiday spot also present the most challenging aspects to airborne mappers. Woolpert, a leading national architecture, engineering and geospatial firm, acutely understands these obstacles. Conducting approximately 1,000 LiDAR missions a year across 100,000 square miles, the firm is well versed in overcoming difficult environments to provide quality results.

Dealing with heavy forest canopies, cloud interference and uneven terrain, Woolpert is a firm believer in the benefits of using LiDAR in such conditions. A traditional user of linear-mode LiDAR, such as the Leica ALS80 airborne sensor, the firm was presented with the opportunity to use single-photon LiDAR in the form of Leica SPL100. The format switch was perceptible.


Flying higher for more coverage



Contracted by the U.S. Geological Survey (USGS) and National Oceanic and Atmospheric Administration (NOAA), Woolpert was tasked with capturing the entire topography of the big island of Hawaii and the Hilo Bay breakwater. The data will be used for:

·       Change detection

·       Preliminary construction planning

·       Slope analysis

·       Forestation study

·       Hydrology mapping.

The coverage area is approximately 10,404 square kilometres, and Woolpert only had about two months to collect the data. The firm was also held to the criterion of Quality Level 1 (QL1) by the USGS, the standard level for the USGS 3D Elevation Program (3DEP), which requires data densities of eight points per square metre and vertical accuracy of 10-centimetre root mean square error, among other requirements. Under such constraints, Woolpert determined the SPL100 would be the best solution for the project.

“With the atmospheric issues we knew we would face, combined with the short time frame, we needed to be able to fly higher and gather more data in fewer passes,” said Mike Meiser, Woolpert project manager. “Given the unique terrain and atmospheric conditions presented in this project area, we saw an effective means to do this with single-photon LiDAR.”

For large-area projects, the SPL100 exceeds the QL1 standard, collecting up to 30 points per square metre to produce high-density point clouds. The dense jungles of Hawaii were also more easily captured as the SPL100 is specifically designed to penetrate semi-porous obscurations. Emitting 6 million laser pulses per second and responding to multiple returns from each outbound pulse, Meiser said this sensor afforded favourable opportunities for canopy penetration by virtue of the high-density of pulses.


Partnering for technology acceptance

As a long-time partner, Woolpert worked closely with Leica Geosystems to develop the flight plan and process the captured data. To capture the large area, the island was split into five zones based upon terrain elevation, covering a range from 0 to 3,600+ metres. A 20 per cent to 50 per cent overlap from flight line to flight line with a 100-metre buffer around each zone assured continuous coverage of the entire island.

The captured LiDAR data and four-band frame imagery were processed in Leica HxMap, the unified high-performance multi-sensor workflow. With a single user interface, high-density point clouds were created on a weekly basis for delivery to USGS and NOAA. Under USGS’ National Map provision, the point clouds will be made available to the public as standard digital elevation models.  

The close partnership between the two companies has enabled the widening acceptance of single-photon LiDAR in the industry, especially in the use of elevation capture.

“Leica Geosystems has had the privilege to work on many new technology implementations with Woolpert over the years, and the use of the SPL100 on this data acquisition recognises a major step in the maturity of this technology from both an operational side as well as from processing and data quality perspectives,” said Bruce Wald, Geosystems Geospatial Content Solutions Division COO. “This is the direct result of a continued development effort since the initial introduction of the technology, and the SPL100 meets the goal of providing a highly productive technology, targeted to high point densities and large areas.”


Continuing to capture, partner



Experiencing one of the wettest winters in the recent history of Hawaii, flight plans were severely affected, only allowing the capture of 43 per cent of the overall 10,404 square kilometres. The remaining portion of the project is planned to be captured in the late fall of 2018.

With the eruption of Kilauea Volcano on the big island of Hawaii in the spring of 2018 and, to date, the continuous flow of lava, the geography continues to be altered.

“Anytime you create map data, it’s dated as soon as the data leaves your hand,” remarked Meiser. “When we go back, our goal will be to acquire as much as we can.”     

The Woolpert team originally supplied data from previously-established ground control points for the project. In the second phase, the team will revisit these points and re-establish as needed.

Continuing with the SPL100 and HxMap, the Woolpert team is already working with Leica Geosystems to establish the next set of flight plans and data processing deliverables. With no other foreseeable delaying events, the team expects to complete the project in early 2019.

“We have a strong working relationship and certain comfort level with Leica Geosystems. This was a major reason for us selecting the SPL100 for this project,” said Meiser. “Our familiarity with the workflows have enabled us to be more efficient and provide faster results.”  

Whether being enjoyed by tourists on holiday or presenting hurdles for airborne mappers, the unique features of Hawaii are being captured accurately and efficiently for further analysis. With detailed, high-density point clouds, government agencies like USGS and NOAA can make the most informed decisions to better support communities and provide vital information to the public.


Capturing the largest commercial single-photon LiDAR acquisition in North America

In the spring of 2018, the U.S. Geological Survey (USGS) approved the largest acquisition by single-photon LiDAR to date. Using the Leica SPL100, Woolpert captured approximately 9,650 square kilometres of South Dakota. The data has been approved for use in USGS 3D Elevation Program (3DEP) and will ultimately be made available to the public via the USGS National Map website.

The nearly $1 million project realised significant efficiency gains with the SPL100. John Gerhard, Woolpert vice president and program manager, said SPL is more efficient and can collect Quality Level 1 (QL1) or denser data from higher altitudes when compared to a traditional linear lidar sensor. Woolpert deployed its Twin Commander turboprop aircraft, equipped with the SPL100 sensor, for this project.  

Leica Geosystems developed and provided the sensor, which was introduced last year,” said Gerhard. “As 3DEP and the need for enhanced elevation data applications expand, it’s vital to employ the tools most appropriate to each project to best support the USGS and 3DEP. Leica Geosystems has been a great resource and an outstanding partner on multiple projects.

 

Uusimmat uutiset

Tietoa Leica Geosystemsin brändien viimeisimmistä tapahtumista.
Tietoa Leica Geosystemsin brändien viimeisimmistä tapahtumista.

Ota yhteyttä Leica Geosystemsiin

Haluatko lisätietoa? Asiantuntijamme vastaavat mielellään kysymyksiisi.

Haluatko lisätietoa? Asiantuntijamme vastaavat mielellään kysymyksiisi.

Reporter 84

Download a PDF version of Reporter 84
Download a PDF version of Reporter 84

Around the world

Customers across the globe solving complex daily challenges using Leica Geosystems equipment
Customers across the globe solving complex daily challenges using Leica Geosystems equipment